Обяви За нас Контакти
Продава ПАРЦЕЛ
област Добрич, с. Кранево
49 990 €
97 771.94 лв.

(50 €, 97.79 лв./m2)
Не се начислява ДДС
История на цената
Коригирана в 16:40 на 3 ноември, 2025 год.
Обявата е посетена 746 пъти.
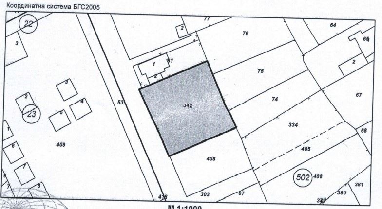
Площ:
991 m2
Регулация:
ДА

Описание на имота:


Имотен Център Варна, Ви представя за продажба, парцел с.Кранево .Парцела е 991 кв.м.Отстоянието до морето е 2 км .Подходящ за застрояването на 5 етажна сграда . РЗП на мястото е 1850 кв.м.Ток и вода на границата на парцела.Може и за обещетение. Агенцията , може да Ви консултира и съдейства за всякакъв вид имоти във гр. Варна и околностите. За допълнителна информация позвънете на посочения тел.номер.
Виж всички обяви в imotencenter.bazar.bg или тук
За контакт:
0878863784
Брокер:
Радослав Стефанов
0878863784
Още оферти от брокера: Продава | Дава под наем | Купува | Наема
Агенция:
ИМОТЕН ЦЕНТЪР ВАРНА
0878 859 385
ИМОТЕН ЦЕНТЪР ВАРНА  logo
Медал за прослужено време
В imot.bg от 2019 г.
imotencenter.imot.bg
Адрес:
област Варна, гр. Варна, бул. Генерал Колев 113, ет. 3, ап. офис 3.5
ИЗПРАТИ ЗАПИТВАНЕ
ИЗПРАТИ ЗАПИТВАНЕТО

Продава ПАРЦЕЛ
област Добрич, с. Кранево
Обява: 1r163533355396258

49 990 €
97 771.94 лв.
История на цената
(50 €, 97.79 лв./m2)

Не се начислява ДДС
ЗАПАЗИ ОБЯВАТА

Местоположение: област Добрич, с. Кранево